
Fin tærbe…
Dette er beretningen om 6 dykkere på en skøn sensommer tur på Øresund. På trods af at DMI havde forudsagt både syndflod og hvad der er værre, kom der ikke en dråbe vand fra oven der hvor vi var. I tillæg viste Øresund fra sin roligste side. Ingen bølger og ingen strøm. Jeg tør godt konkludere, at det blev en super fin dag for alle os der tog af sted.
For mig begyndte dagen med en lang og intens infight med en uimodståelig dyne, der bare ikke ville slippe. Måske derfor ankommer jeg først i klubhuset kl. 8:35, hvilket indrømmet er for sent til at vi kan køre kl. 9. Der er allerede en meget aktiv atmosfære og de andre er næsten færdige med at pakke Havkassen og Havgassen. Kompressoren brummer og de andre futter bare rundt og pakker de sidste ting. Efter lidt små-snak siger flinke Kim at ”det gør da ikke noget du kommer sent, Niels. Du skriver da bare turreferatet!”, imens han smiler til Thomas, der ankom ca. 1 minutter før mig. Et øjeblik efter sætter Havkassen med slæb kursen imod Helsingør, med Steffen ved roret og Piv som co-pilot. Som det flinke menneske Kim jo er, hjælper han mig med at få lidt ilt på flaskerne og toppet op med luft. Det går ganske hurtigt og i løbet af ikke ret længe sætter også Kim, Thomas og jeg kursen nordover.

Vejret er meget bedre end forudsagt!
Da vi kommer til Helsingør er båden allerede sat i baljen. Vejret er tørt, stille, lunt og dejligt og vi gør os hver især hurtigt klar. Efter kort tid styrer Steffen stille og roligt Havgassen ud på sundet. Efter nogle få sømil og en ganske kort vragsøgning (respekt for styrmanden!), droppes bøjerne på vraget af ”Birgit”. (Måske nogle af jer lokale kender vraget som ”Wargön”, som det hed før forliset)
Thomas trækker i grejet og forsvinder øjeblikke senere i dybet for at binde på.

Thomas på vej
Da vi skønner at Thomas har fået tid nok til at binde på, fortøjer vi båden og hopper i på skift. Først Kim, dernæst Malte og jeg, og til sidst Steffen og Piv.

Forfatteren på vej ud over kanten…
Birgit er et ca. 30 meter lang og 7 meter bredt stålskib, som sank i 1918 efter en kollision. Det er et Anders and vrag på ca. 30 meters dybde, som er rigtig fint at dykke på.

Heldig rødtunge
Det står stort set i sin helhed selvom de 98 år på bunden selvfølgeligt har nedbrudt det noget.

Glasvarer, der blev sat op for at markere reserveskruen (som kan være svær at få øje på).
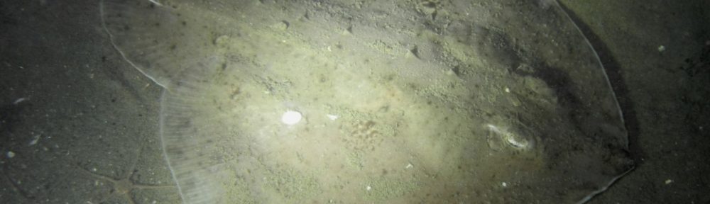
På bunden er der vel ca. 5-10 meter sigt, hvilket er rigtig fint. Der er overhovedet ingen strøm. Kort efter jeg rammer vraget, ser jeg at Kim fægter helt vildt med lygten i mod os. Han gør tegn til at vi (Malte og jeg, altså) skal komme over. Det viser sig at han har fundet en tærbe, som er et herlevende medlem af rokke-familien.

Tærbe (Amblyraja radiata) – en af de få “fladfisk” vi lader i fred…
En flot brunlig sag på ca. 40 cm længde. Med en lang spids hale og store øjne ovenpå hovedet. Jeg synes den er flot uden dog at være særlig køn. Den er ret rolig. Selvom vi er tre dykkere lige omkring den, svømmer den med langsomme rolige bevægelser væk fra os. Langs bunden ud imod det store åbne mørkegrønne ingenting, som omgiver vraget. Sådan en fisk har jeg ikke før set, så tak til Kim for den oplevelse.
Med alle mand vel oppe lægges kursen imod ”Polaris” alt imens vi får lidt overfladetid på tælleren og et par af Maltes medbragte pølser i maven (lækkert, tak for serveringen, Malte).

Skal man nu gå øst eller vest om?
Polaris var en damper af jern på 78 meters længde. Også dette skib forliste efter kollision, i 1924, og står i dag ca kølret på 24 meters vand. Det er ret nedbrudt med vragdele delvist sandgået og spredt over et større område

Loddet skal smides præcist i rodebunken, for styrmanden skal selv binde på!
For mig er det første gang på Polaris. Da jeg, som den tredje, kommer ned på vraget, er sigten halvskidt. Måske fordi bunden er så løs og mudret, at selv et forsigtigt finnetag sender en sky af svæv op i vandet.

Pyntekrabbe
Så, da jeg efter ca. 20 min på vraget genfinder overfladelinen, vælger jeg at gå op frem for at tage en tur mere. Det er andet dyk på de samme sæt flasker, så jeg har ikke bunker af luft tilbage.

Nervøs lille torsk
Et lidt kort dyk, jo, men hellere det end en fri opstigning midt i Øresund.
Efter en times tid er vi alle oppe igen, og turen går tilbage til Helsingør og videre til Farum.
Tak for en kanon tur !
Niels